路邊迷途小水獺 疑因大雨與媽媽走散
記者 陳璽安/報導
日前金門有民眾發現一隻小水獺躲在機車旁邊,趕緊將牠送往金門縣野生動物救援暨保育協會,經獸醫檢查判斷這是一隻剛斷奶的幼獺,學者推斷可能是近日雨勢等原因造成小水獺與媽媽走失,目前小水獺由金門縣野生動物救援暨保育協會暫時收容。

28日晚間,金門縣金寧中小學事務組組長錢文輝在路邊發現一隻小水獺,當時錢文輝正騎著機車,他發現小水獺後便將機車停靠在路邊,沒想到小水獺主動靠近並躲於車下,錢文輝試圖驅趕,小水獺竟往馬路上移動,為了避免小水獺發生危險,錢文輝趕緊捕捉牠並請學校老師將牠送往金門縣野生動物救援暨保育協會。
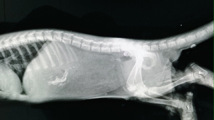
小水獺剛到獸醫院時渾身沾滿泥沙、體力較差,金門縣野生動物救援暨保育協會依程序向金門縣政府通報後,協會獸醫歐陽澍也為小水獺進行麻醉檢傷。小水獺為雄性,年齡約在2至3個月,全長約60公分,體重約1公斤,X光顯示牠的胃部有鈣質食物,根據體型與乳齒等型態判斷牠應該才剛離乳不久。


近年執行地區水獺影像監測的東海大學林良恭教授團隊表示,今(2018)年度金寧鄉湖尾溪有數巢及多隻水獺繁衍,但可能是因為近期降雨等原因,造成幼獺與母獺走失,而根據韓國水獺中心的多年經驗,母獺並不會主動尋找幼獺。
金門建設處與台北市立動物園等單位聯絡後,參照過往照護大金、小金與金莎的經驗,判斷這隻小水獺已經可以食用固體食物,身體健康情況也尚可,可由金門縣野生動物救援暨保育協會暫時收容;台北市立動物園也提供荷蘭等國家的拾獲水獺幼獸處理程序,供協會參考。

目前這隻小水獺對人類仍有所警戒,須靠誘導才會進食,人類的靠近也會讓牠緊張並引發攻擊性,金門建設處指出,縣府已經根據水獺保育國際研討會的資訊趕製飼育箱等設備,以減少可能的緊迫,小水獺現在也由專人照護,儘量避免過於親近人類,以為後續可能的野放作業做準備。林良恭教授團隊也建議,目前也應確定幼獺的健康狀態,以及是否具備游泳、捕食等能力,作為後續處置的參考依據。
根據監測影像,顯示金門東半島在今(2018)年上半年有許多有親子獺出現,而歐亞水獺在性成熟後,會陸續離巢並建立自己的領域,也可能在移動的過程中遭遇路殺,因此,金門建設處呼籲,民眾如果發現類似的個案,請儘快通知縣府等相關單位,切勿擅自捕捉水獺,避免造成水獺或人員受傷。
