東沙生態維持住 可扮演海洋種原庫
環境資訊中心 報導
原標題:「25年學術調查 鄭明修:東沙生態維持住 可扮演海洋種原庫」
隨著內政部長徐國勇的開放觀光承諾受到檢視,海洋生物多樣性豐富的東沙群礁,最近成為輿論焦點。與此同時,自然生態保育協會理事長鄭明修的生態調查最近發現,此處不僅鯊魚現身、海豚結隊出現,還曾近距離拍攝到台灣僅剩30尾的龍王鯛,這些都是生態狀況健全的指標。
鄭明修身為中研院生物多樣性中心研究員,在東沙環礁的學術調查長達25年,他還發現環礁潟湖內珊瑚礁,從1998年大白化後,已恢復至珊瑚覆蓋率40~60%,魚群種類數量逐年增加。他評估,東沙若能維持現況,有望成為海洋種原庫,魚類資源能從此處達到往外擴散的效果。
而維持現況的關鍵是保護區經營管理以及強力執法,他認為,劃設保護區加上2016年以來海巡署強力執法,對越界盜漁的行為產生嚇阻效果,在生態保育上已顯現出成果。
發現寬闊「藍洞」 為東沙生態旅遊加分
去年9月2日、3日,東沙島碧海藍天,視野遼闊,鄭明修一行研究團隊,坐在20噸船舶上,沿途珊瑚礁一清二楚,潛水過程,在東沙外環礁南邊在水深15公尺處發現至少3個洞口,洞底相通十分寬廣;其中一個呈現心型,他稱為心型藍洞,另一個呈圓形的藍洞也很美。


鄭明修談到,之前也曾記錄過幾個藍洞,但都不如此次發現的來得寬闊優美,不輸他在全世界海域拍過的藍洞,深具生態旅遊價值。
此行他繼續潛入深處,抵達洞寬超過10公尺處遇見白邊真鯊。人鯊對視的短暫時間,他趕緊按下快門,片刻間鯊魚逃逸無蹤。「鯊魚很怕人,電影大白鯊過度誇大鯊魚對人類的威脅。其實牠吃魚不吃人。」鄭明修說,他看到鯊魚並不會害怕,反而趕緊拿起攝影器材拍攝。
連續兩天潛水都發現鯊魚,代表海洋食物鏈最高階者出現。鄭明修說,鯊魚在食物鏈上稱為「關鍵物種」,珊瑚礁有牠在,象徵食物鏈正常運作,因此不論是在墾丁、綠島、小琉球,有鯊魚就代表生態系好。東沙看得到鯊魚,代表生態健康,能生出很多漁業資源,會有「溢出」的效果;此外,鯊魚出現也是國際級潛水領域的象徵。
這裡有烏尾鮗魚群,四線笛鯛優游而過。鄭明修推論,3年來在同一海域都能看到成群的海豚出現,意味著此處有豐富的小魚群被海豚當作食物,這是過去20年來未曾見過的。

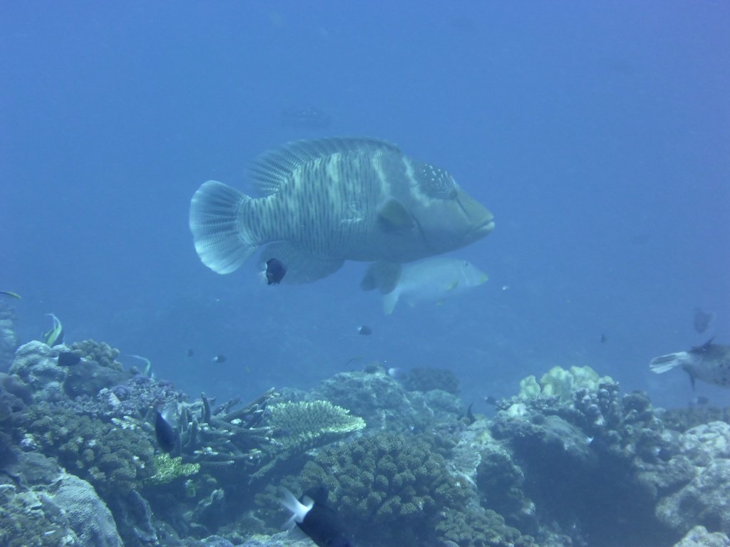
列名保育類 龍王鯛族群復原緩慢
2016年4月22日,他和助理在海底做完調查,上升到海面前,看到大型魚類尾隨跟拍,因為順流而跟著往深海前進,在外環礁水深25公尺處,龍王鯛現身。因為長期以來第一次這麼近拍,使他心情激動。他一路尾隨,一面拍照,一面錄影,這隻龍王鯛體長約60公分,應為雌性。
龍王鯛(Cheilinus undulatus)又稱曲紋唇魚、蘇眉魚、拿破崙魚,2004年被華盛頓公約列入附錄Ⅱ清單,屬族群數稀少須有效管制的物種。牠的幼魚體色像吳郭魚,很容易成為釣魚、延繩釣誤捕對象。
農委會在2014年7月2日公告將牠列為保育類野生動物,與隆頭鸚哥魚是目前海水魚類惟二被列入的魚種。在此之前,龍王鯛常出現在南部的海產店,或台灣各地餐廳裡的清蒸蘇眉料理,不過,鄭明修說,他在墾丁海域已好幾年沒看過龍王鯛。

倒是在澳洲海域,看得到身長150公分左右的個體。在當地,潛水導游引導遊客看龍王鯛「人魚接吻秀」,就有一人一百塊美金進帳,產值年近百萬美金,而且龍王鯛活越久產值越高。在台灣,龍王鯛大概賣一萬元進到饕客胃裡。而殺龍王鯛的行為,不但令國際社會齒冷,在澳洲違法者還要面臨入獄、繳交數千萬台幣罰金的命運。
龍王鯛也是珊瑚礁的指標生物,全球記錄體型最大的個體為229公分、200公斤;截至2018年,4年多來野生族群數量未見增加,鄭明修在台灣海域總共記錄到體長大小不同共5尾龍王鯛,但台灣看到的都是成體,很難看到幼體,代表族群沒有遞補上來。
目前,鄭明修只有在東沙環礁國家公園看到幼魚出現,代表在海巡署和國家公園管理處執法下,已經有希望復育成功。
強力執法保留珍貴海洋資源
對於這次調查所見讓鄭明修十分驚喜,因過去此地常聚集中國或東南亞漁船越界盜採、盜捕,以各種方式掠奪海洋資源,使得鯊魚幾乎不可見,魚群也少見;他認為應是這幾年海巡署強力執法達到效果。
2016年3月,東沙海域20艘中國漁船,海巡派出3000多噸的高雄艦,2艘100噸船隻,也動員特勤隊,包抄中國違法漁船,將40多位漁民連同船隻一併逮捕扣押。
這次執法力度到位,和過去只是驅趕不同,是保育上重要的里程碑,鄭明修形容為「東沙保育元年」。三年來海巡署持續強力執法驅離外籍入侵盜採的船隻,讓東沙海域的大型珊瑚礁魚類得以繁衍長大,生態系多樣性資源顯著復原。

2016年海防掃蕩越界違規漁船事件簿
2016年3月22日在海巡署海洋總局長胡意剛親率包括3000噸的高雄艦等,1艦、10艇、警力109人,共同執行東沙海域擴大威力掃蕩勤務,掃蕩越界大陸漁船及取締違規漁業行為。
此次在中國籍「琼琼海漁05055號」漁船(300噸,配置12艘子船、41名船員),查獲綠蠵龜3隻、珊瑚15,000公斤、硨磲貝及螺旋尖螺400公斤等,另驅離4艘越界鐵殼船,並扣押小舟2艘4人留置東沙指揮部調查。其中2隻綠蠵龜活體交由東沙海管處照顧野放,另一隻於廚房已遭肢解的個體,則由高雄艦帶回沒入。
全案依違反漁業法、台灣地區與大陸地區人民關係條例、野生動物保育法及國家公園法等罪嫌。是海巡署自2000年成立以來,第一件自東沙島押回偵辦之重大違法事件。
